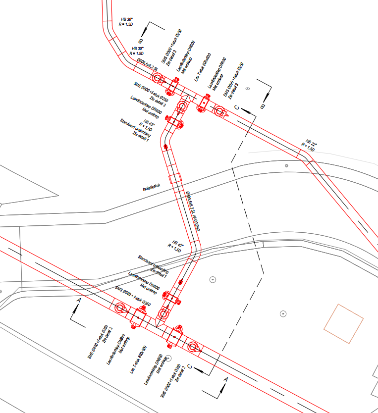
ATRON-Engineering heeft in opdracht van Evides de engineering verzorgd voor het vervangen van twee drinkwatertransportleidingen in Kapelle.
De bestaande transportleiding in de Dijkwelseweg, aangelegd middels asbestcementbuizen, is vervangen in combinatie met het project “herinrichting Dijkwelseweg” van de gemeente Kapelle. Eerst heeft gemeente Kapelle een nieuw rioolstelsel aangelegd, hierdoor ontstond er ruimte om de nieuwe drinkwatertransportleiding aan te leggen op de plek van het oude riool. Als laatste wordt de oude leiding van Evides verwijderd, waarna de weg geheel wordt gereconstrueerd. Op deze wijze wordt de overlast voor de omgeving beperkt.
Een grote uitdaging binnen dit project was de kruising van de spoorbaan welke dwars door Kapelle loopt. ATRON-Engineering heeft hiervoor diverse overleggen met ProRail gehad om tot een passende oplossing te komen. Uiteindelijk is er gekozen voor een nieuwe GFT-boring nabij de spoorwegovergang, waarbij er een Ø1000mm GVK-mantelbuis onder de spoorbaan door is geboord.
Om in de directe toekomst verdere overlast binnen het dorp te beperken heeft Evides besloten om ook een tweede transportleiding binnen het dorp te vervangen. Daarom is ook langs de spoorbaan tussen Kapelle en Goes over een lengte van ca. 1400 meter een nieuwe stalen leiding aangelegd. Vanwege de beperkte ruimte langs de spoorbaan was ook hiervoor afstemming met ProRail noodzakelijk.
Om de twee transportleidingen met elkaar te koppelen is er een nieuw afsluiter schema ontworpen waarmee het water verschillende kanten op kan worden gestuurd in geval van een calamiteit.
In totaal is er bijna 1,6 kilometer drinkwatertransportleiding vervangen voor een nieuwe DN800 stalen transportleiding. Binnen de scope van het project heeft ATRON-Engineering de volgende werkzaamheden verricht:






Onze opdrachtgevers
Onze opdracht-gevers
ATRON-Engineering B.V. is actief in de Benelux. Onze klanten zijn aannemers, netbeheerders, particulieren, bedrijven en overheden allen voornamelijk actief in de ondergrondse infra.
Onze klanten kunnen bij ons terecht voor alle soorten vraagstukken t.a.v. ondergrondse infra. Van het engineeren van sleufloze kruisingen tot en met het uitwerken van een compleet kabel- of leidingtracé incl. alle bijbehorende berekeningen en onderzoeken. Daarnaast ondersteunen wij onze klanten in zowel de voorbereiding als uitvoeringsfase van een project. Wilt u weten wat wij voor u kunnen betekenen of bent u opzoek naar advies, neem dan vrijblijvend contact met ons op.
ATRON-Engineering B.V. is opgericht in 2015. Inmiddels zijn we uitgegroeid tot een bekend ingenieursbureau in de markt. Met onze vestigingen in Werkendam en Bodegraven hebben wij een landelijke dekking. Ons team bestaat uit mensen uit de praktijk. Dat wil zeggen dat al onze medewerkers hun roots in de aannemerij hebben liggen of hier ervaring hebben opgedaan. Op deze wijze benaderen we onze werkzaamheden met een praktische blik. Ons doel is om een maakbaar ontwerp te realiseren en onze opdrachtgevers te voorzien van passend advies.

